Eladó Raktár
Hirdetéskód: 9248112

OTP Ingatlanpont Csongrád

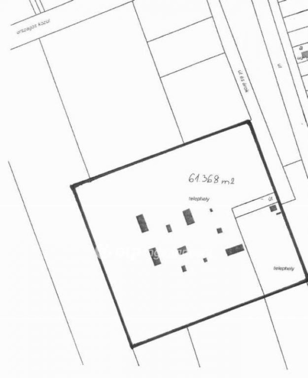
61368.00 m2
ALAPTERÜLET
0
SZOBASZÁM
nincs megadva
ÉPÍTÉS
nincs megadva
FŰTÉS
  • CSOK igénybe vehető nem
  • Tetőtér beépíthető nem
  • Építés éve 1960
  • Klíma nem
  • Szigetelt nem
Energetikai besorolás: Nincs meghatározva
A+++
A++
A+
A
B
C
D
E
F
G
H
I

Az ingatlan leírása

Békéscsabán, az Orosházi út (444-es út) városból kivezető szakasza mellett, 6,14 hektár területű, ipari hasznosításra alkalmas külterületi telephely eladó! Az ingatlan körforgalmi csomópont közelében található, mely körforgalom az Orosházi (444-es) utat összeköti a 47-es, és a 44-es főútvonallal. A telek szabályos alakú, a 444-es számú útról letérve bekötőúton közelíthető meg, övezeti besorolása Gipe-4, amely 40%-os beépíthetőséget engedélyez, maximum 7,5 méter építménymagasság mellett! A terület betonoszlopos dróthálós kerítéssel körbe van kerítve. A közművek közül elektromos árammal ellátott. Az ingatlanon található felújítandó állapotú épületek raktárként üzemeltek. Az ingatlan többcélú, mezőgazdasági, ipari, kereskedelmi hasznosításra alkalmas, de akár napelem park telepítésére is megfelelő. Amennyiben érdeklődését felkeltettem, az ingatlan előre egyeztetett időpontban megtekinthető! Az OTP Ingatlanpont eladó és kiadó ingatlanokat keres, magyar és külföldi ügyfelei részére, teljes körű pénzügyi ügyintézéssel!

Térkép

A hirdető elérhetősége

OTP Ingatlanpont Csongrád

Berényiné Annus Krisztina
+36 30 487