Eladó Lakás
Hirdetéskód: 9246642

Született Fészekrakó Ingatlaniroda

Felújításhoz személyi kölcsönt keres? Kalkuláljon itt! →
FIX 3% Program

Ez a hirdetés megfelelhet a FIX 3%-os programnak.
Tudj meg többet a részletekről itt.

62.00 m2
ALAPTERÜLET
1
SZOBASZÁM
Tégla
ÉPÍTÉS
Gáz (cirkó)
FŰTÉS
  • Belső szintek 1
  • Kilátás Udvari
  • Parkolási lehetőség Udvari beálló
  • Építés éve 2026
  • Fűtés Gáz (cirkó)
  • Építőanyag Tégla
  • Erkély, terasz Terasz 14.00m2
  • Kertkapcsolat igen 365.00m2
  • Klíma igen
  • Szigetelt igen
Energetikai besorolás: Nincs meghatározva
A+++
A++
A+
A
B
C
D
E
F
G
H
I

Az MBH Bank személyi kölcsön ajánlata

Fizetett hirdetés
1 millió Ft
6 évre
20 585 Ft/hó
THM: 14.5%
Részletek →
2 millió Ft
6 évre
41 169 Ft/hó
THM: 14.5%
Részletek →
3 millió Ft
6 évre
61 754 Ft/hó
THM: 14.5%
Részletek →

A tájékoztatás nem teljes körű és nem minősül ajánlattételnek.

Az ingatlan leírása

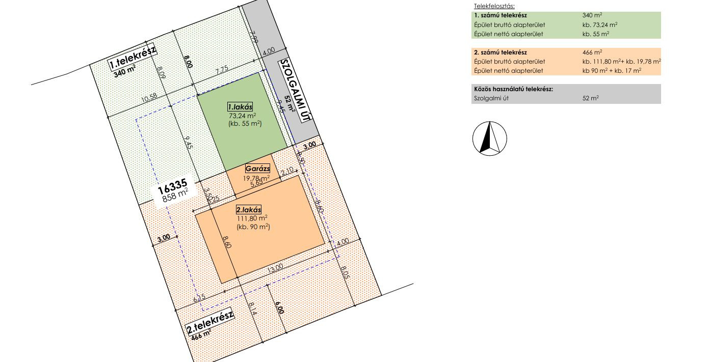
Szombathelyen Oladon, 365m2-es  rendelkező telekkel ikerház leköthető!

Szombathely Oladon most kialakuló kellemes családi házas övezetben nappali +2 szobás ikerház eladó. Az ingatlanhoz tartozik 361m2-es telek, 2 db autóbeálló. Exkluzív, letisztult ,modern kivitelezés, praktikus, élhető terek, térkapcsolatok. Nagyméretű terasz, napsütötte lakóterek. Burkolatok, szaniterek szabadon választhatóak, az építkezés korai szakaszában a belső falak is mozgathatóak, tehát kompromisszum nélkül, az Ön ízlésének megfelelő kialakításban gondolkodhat, harmonizálva az épület megjelenésével és nívójával. A modern gépészetnek, padlófűtés kondenzációs gázkazánról és egy hűtő-fűtő klíma és a kellő vastagságú, megfelelő rétegrendű építési módnak köszönhetően egy kis energia igényű ingatlanra tehet szert,. Az ár kulcsrakészen, telekárral együtt értendő.  Ja igen, ez a projekt biztosan megépül!! Rutinos, jó nevű kivitelező cég, stabil háttérrel! Hívjon, írjon, vagy jöjjön el hozzánk egy finom kávéra és közben bemutatom Önnek a még elérhető lakásokat, hogy a legjobbat tudja kiválasztani! Nézze meg referencia házainkat, segítünk eladni jelenlegi ingatlanját a legjobb megoldással! Várható kezdés 2026.év nyár.
Nappali+2 szoba, bruttó 62m2 nettó 55m2, 365m2-es telekkel.

Térkép

Ingatlan adásvétel ügyvédi díja
278 550 Ft
a hirdetésben szereplő ár alapján
  • A vételár 0,45%-a
  • Szerződéscsomag teljeskörű képviselettel
  • Ingyenes tulajdoni lap ellenőrzés
  • Az ÁFA-t már tartalmazza
Érdekel az ajánlat →
A tájékoztatás nem teljes körű és nem minősül ajánlattételnek. Minimum díj: 150 000 Ft, maximum díj: 600 000 Ft. A díj kizárólag lakóingatlan adásvételére vonatkozik.

A hirdető elérhetősége

Mészáros Dóra e.v.

Mészáros Dóra
+36 30 929