Eladó Lakás
Hirdetéskód: 9204939
Nyíregyháza Dózsa György út 32-34 - OTP Ingatlanpont Iroda
150.00 m2
ALAPTERÜLET4
SZOBASZÁMnincs megadva
ÉPÍTÉSnincs megadva
FŰTÉS- CSOK igénybe vehető nem
- Tetőtér beépíthető nem
- Építés éve 1905
- Klíma nem
- Szigetelt nem
A+++
A++
A+
A
B
C
D
E
F
G
H
I
Az ingatlan leírása
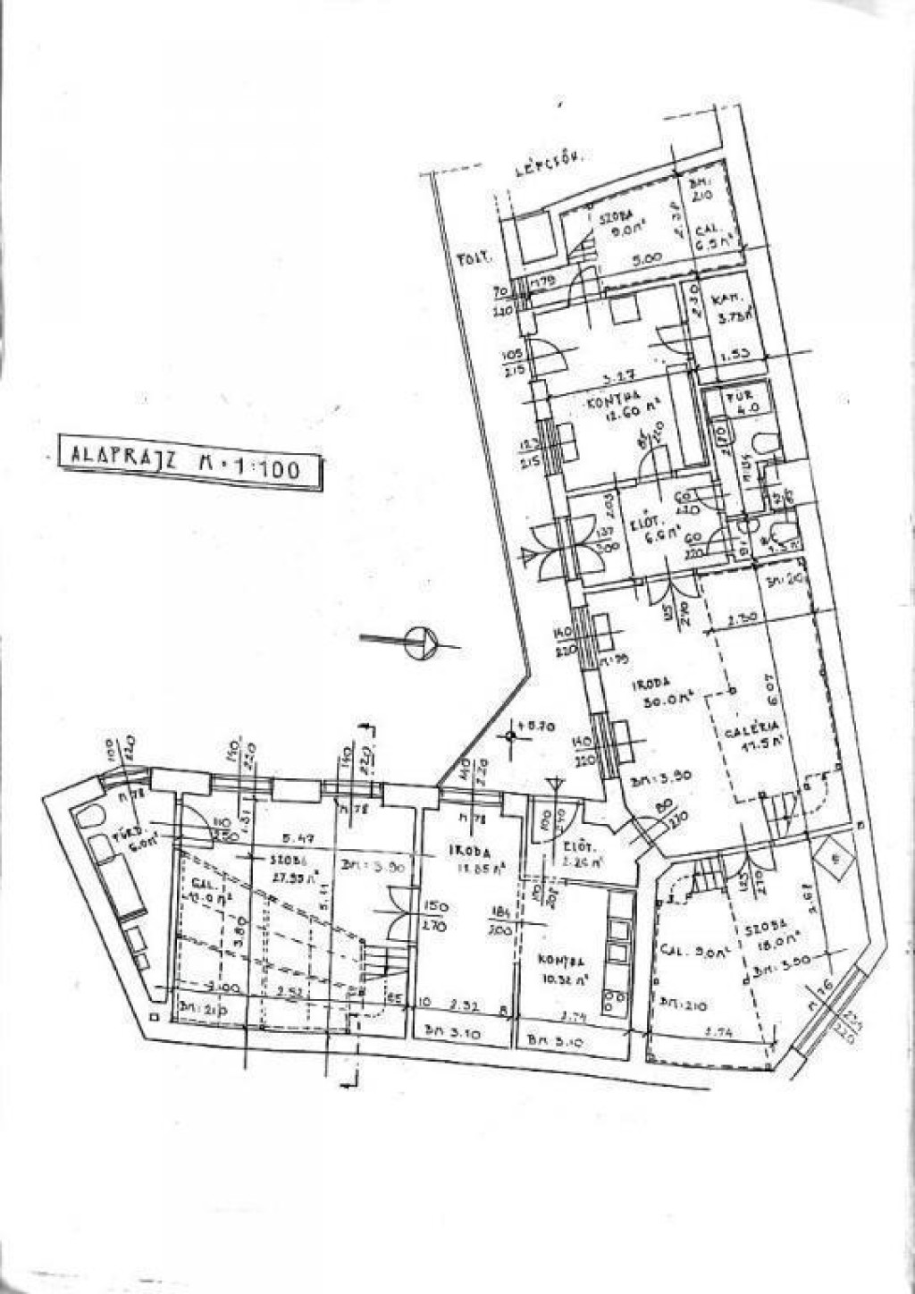
Nyíregyháza, Hősök terén eladó egy társasház teljes szintje.
Az 1905-ben épült különálló, téglaépítésű, két szintes társasház első emeletén jelenleg két egybenyitott lakás található.
A két külön helyrajzi számon lévő lakások területi megoszlása: 86 m2, valamint 59 m2.
Az első emeleti szintet saját lécsőházból lehet megközelíteni.
A lépcsőház tetején, a társasház tetőterében egy 2 félszobás garzon lakás található.
Az épület alatti 70 m2 alapterületű alagsori szint is az ingatlanokkal jár.
Az első emeleti szint az elmúlt években irodaként üzemelt.
Az átépítésére több terv is készült, kisebb lakások, különálló apartmanok, vagy modernebb iroda kialakítással.
Főként befektetőknek, építőipari vállalkozóknak ajánljuk.
Pénzügyi tanácsadással, hitel ügyintézéssel (FalusiCSOK, CSOKPlusz, Babaváró, kedvezményes lakáshitel) segítjük ügyfeleinket, melyről részletes tájékoztatást adunk OTP Ingatlanpont, és OTP Pénzügyi Pont irodáinkban.
Az 1905-ben épült különálló, téglaépítésű, két szintes társasház első emeletén jelenleg két egybenyitott lakás található.
A két külön helyrajzi számon lévő lakások területi megoszlása: 86 m2, valamint 59 m2.
Az első emeleti szintet saját lécsőházból lehet megközelíteni.
A lépcsőház tetején, a társasház tetőterében egy 2 félszobás garzon lakás található.
Az épület alatti 70 m2 alapterületű alagsori szint is az ingatlanokkal jár.
Az első emeleti szint az elmúlt években irodaként üzemelt.
Az átépítésére több terv is készült, kisebb lakások, különálló apartmanok, vagy modernebb iroda kialakítással.
Főként befektetőknek, építőipari vállalkozóknak ajánljuk.
Pénzügyi tanácsadással, hitel ügyintézéssel (FalusiCSOK, CSOKPlusz, Babaváró, kedvezményes lakáshitel) segítjük ügyfeleinket, melyről részletes tájékoztatást adunk OTP Ingatlanpont, és OTP Pénzügyi Pont irodáinkban.