Eladó Kereskedelmi és ipari ingatlan
Hirdetéskód: 8470002
GDN Ingatlanhálózat - STOP Ingatlan
Felújításhoz személyi kölcsönt keres? Kalkuláljon itt! →8000.00 m2
ALAPTERÜLET0
SZOBASZÁMnincs megadva
ÉPÍTÉSnincs megadva
FŰTÉS- CSOK igénybe vehető nem
- Tetőtér beépíthető nem
- Klíma nem
- Szigetelt nem
A+++
A++
A+
A
B
C
D
E
F
G
H
I
Az ingatlan leírása
Otthonok és megoldások!
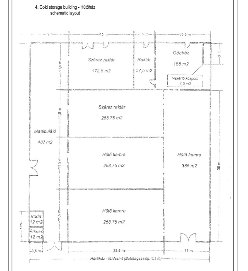
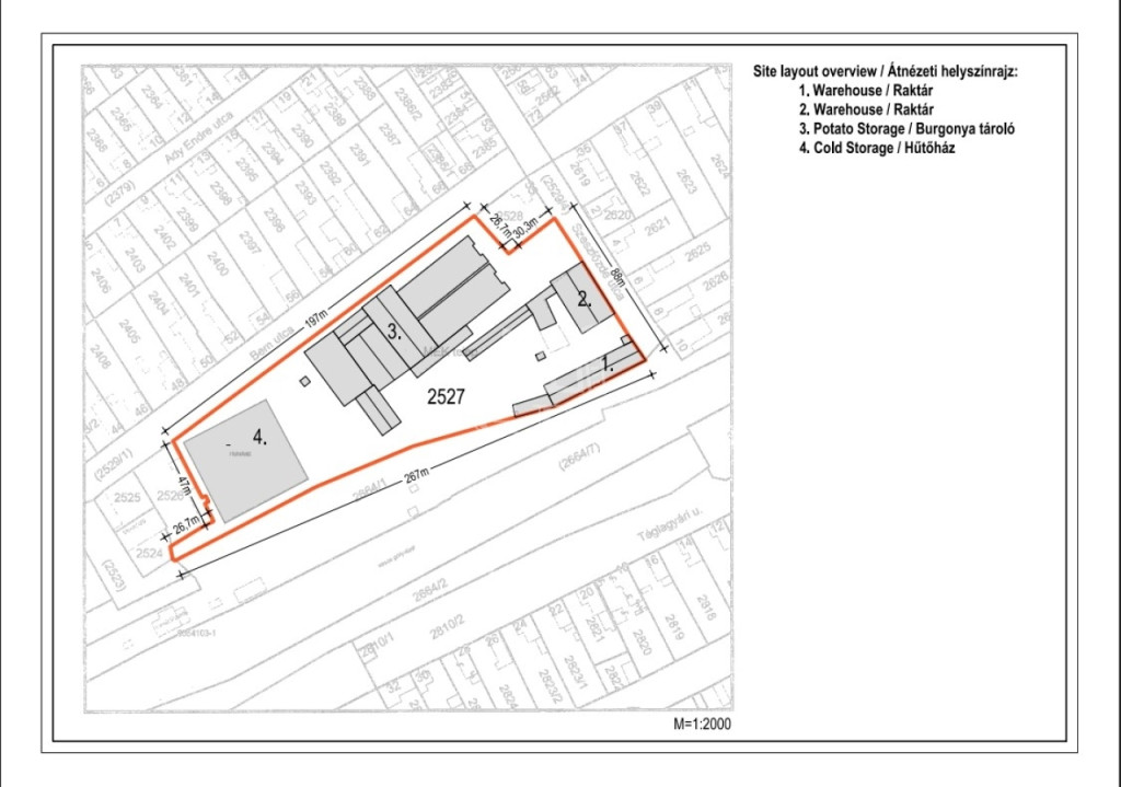
Jánoshalma belterületén, a vasútállomás közvetlen közelében, 2,1 ha ipari terület eladó. Az telken található kb. 8500 nm felépítmény egységei:
- 2100 nm többhelyiséges raktárépület, mely 3 db összesen több mint 900 nm működő hűtőkamrát magába foglal. Belmagasság: 6,3 m.
- Több ezer nm beton és téglaépület, mely burgonya tároló és szárító üzemként funkcionált.
-További 2 db. egyenként kb. 500 nm hidegraktár.
- Kb. 440 nm felújítandó irodaház.
- 15 nm mérlegház, 20 tonnás ipari mérleggel.
A víz városi vízhálózatról illetve saját fúrt kútról is biztosított, a szennyvíz elvezetése a városi csatorna hálózaton történik. Az áram ellátás 2-szer 3X160 amper. Az ingatlan területén működő ipari vasúti vágány is található. A be nem épített terület beton borítású, bármilyen nehéz jármű használhatja.
Várom megtisztelő érdeklődését erre a számtalan lehetőséget nyújtó, értékes ingatlanra! Hívjon bátran! ...TOVÁBBI, TÖBBEZRES INGATLAN KÍNÁLAT: - GDN azonosító: 352973
Jánoshalma belterületén, a vasútállomás közvetlen közelében, 2,1 ha ipari terület eladó. Az telken található kb. 8500 nm felépítmény egységei:
- 2100 nm többhelyiséges raktárépület, mely 3 db összesen több mint 900 nm működő hűtőkamrát magába foglal. Belmagasság: 6,3 m.
- Több ezer nm beton és téglaépület, mely burgonya tároló és szárító üzemként funkcionált.
-További 2 db. egyenként kb. 500 nm hidegraktár.
- Kb. 440 nm felújítandó irodaház.
- 15 nm mérlegház, 20 tonnás ipari mérleggel.
A víz városi vízhálózatról illetve saját fúrt kútról is biztosított, a szennyvíz elvezetése a városi csatorna hálózaton történik. Az áram ellátás 2-szer 3X160 amper. Az ingatlan területén működő ipari vasúti vágány is található. A be nem épített terület beton borítású, bármilyen nehéz jármű használhatja.
Várom megtisztelő érdeklődését erre a számtalan lehetőséget nyújtó, értékes ingatlanra! Hívjon bátran! ...TOVÁBBI, TÖBBEZRES INGATLAN KÍNÁLAT: - GDN azonosító: 352973